目前,今年第4号台风“森拉克”保持台风的级别,继续向北偏东方向移动,强度逐渐减弱,最终将变性为温带气旋并消散在太平洋深处。2026年西北太平洋台风活动提前拉开大幕且开局异常,已经呈现出偏早、偏多、偏强的三大特点。根据中央气象台预测,今年我国登陆台风或个数偏多、强度总体偏强,防汛防台风形势严峻。

台风活动已呈现三大特征
第1号台风“洛鞍”于1月15日生成,较常年同期偏早2个多月。据中央气象台统计,西北太平洋和南海常年1号台风的平均生成时间为3月25日。

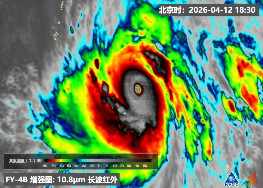
之后,第2号台风“西望洋”于2月4日生成,第3号台风“鹦鹉”于3月11日生成。第4号台风“森拉克”于4月10日02时生成,并于12日23时就达到巅峰强度中心附近最大风力17级以上(70米/秒),中心最低气压900百帕,彪悍的实力已超越此前的全球4月风王——2021年第2号台风“舒力基”。

今年1月至4月,西北太平洋和南海海域始终保持每月都有1个台风生成的节奏,体现出生成个数显著偏多的特点。据广东省气候中心统计,1991年至2020年,西北太平洋和南海常年1月至4月的台风生成个数分别为0.33、0.23、0.3、0.53,总体约1.39个。

通常来说,1月至4月为台风生成低频期,主要受冬季风抑制、垂直风切变强及海温偏低等影响,强度普遍较弱。然而,今年台风活动却清晰呈现“生成偏早、个数偏多、强度偏强”三大特征,这些异常信号均在警示,今年台风季整体活跃度可能会高于常年。
今年登陆我国台风或偏多偏强
事实上,上述异常警示均已得到气象部门的印证。
根据中国气象局发布的今年汛期气候趋势预测,预计今年西北太平洋和南海海域有24至26个台风生成,其中有7至9个登陆中国,较常年偏多;台风活动路径以西行和西北行为主,主要影响我国华东和华南沿海地区,强度总体偏强。台风活跃季节较常年偏早,盛夏有台风北上登陆或严重影响我国沿海地区的风险,夏季台风活动强度大于秋季,末次登陆时间较常年偏早。

另据佛山市气象局3月18日发布的汛期气候预测,预计今年有4~6个热带气旋登陆或严重影响广东,接近历史同期(5.8个),强度偏强,或有(超)强台风。初台(当年首个登陆我国的台风)预计出现在6月中下旬,较历史同期(6月24日)略偏早;终台可能出现在9月下旬,较历史同期(10月4日)偏早。其中,影响佛山的热带气旋可能有3~4个。

由此可见,对于我国而言,今年台风活动将异常活跃,或表现为首个台风登陆时间偏早、台风登陆个数偏多、强度总体偏强等特点;主要影响时段集中在6月至9月,可能会出现多个台风先后登陆或集中影响的情况,预计有强台风或超强台风登陆或影响广东。
三大因素叠加促成台风高活跃度
今年台风异常活跃是多重气候因素共同作用的结果。
第一,全球变暖导致海温持续偏高。当前西北太平洋大部海域海温较常年同期偏高0.5℃-1℃,海洋表层热量充足,为台风生成和增强提供源源不断的能量,相当于给台风装上了“超级发动机”。

第二,厄尔尼诺事件即将形成。监测显示,赤道中东太平洋海温持续上升,预计5月将正式进入厄尔尼诺状态,大气环境将更有利于台风爆发。

第三,台风生成位置明显偏东。今年生成的4个台风均起源于中太平洋海域。台风从生成到靠近大陆的路途遥远,意味着台风在海上有充足时间吸收海洋热量、发展壮大,更容易增强为强台风甚至超强台风。

厄尔尼诺年台风路径复杂多变,可能出现台风登陆后深入内陆、滞留时间长、累计雨量大等情况。针对今年严峻的防汛防台风形势,市民及相关部门要密切关注台风预报预警信息,提前了解台风动态,做好防台风准备工作,注意防范台风暴雨引发的内涝、山洪、地质灾害等次生灾害,筑牢安全防线。

文图、视频/佛山市新闻传媒中心记者谈飞洋、宋佳雨、陈慧敏